cod. 003 – € 24.000, prezzo affare!

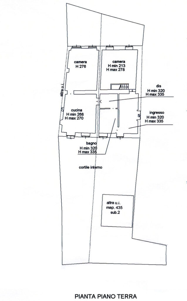
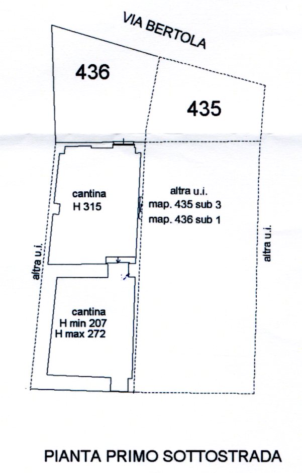
Proponiamo casa in posizione panoramica composta al piano terra di ingresso, grande cucina abitabile, 2 ampie camere e bagno. Dalla scala interna si accede al piano seminterrato composto di tinello, cucina 2 vani cantina (con caldaia) e caratteristico infernot. Al piano superiore troviamo 4 vani a nudo tetto eventualmente trasformabili in abitazione. Completa la proprietà l'autorimessa fronte casa oltre al cortile ed al terreno suddiviso in vari appezzamenti per un totale di 33.870 mq. Il riscaldamento è autonomo a metano, la classe energetica è in definizione.
Viste Esterne
Interni
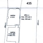
Planimetrie
7 Aprile 2026
No Comments























